Skip to content.
|
Skip to navigation
Personal tools
Log in
Search Site
only in current section
Advanced Search…
You are here:
Home
/
Collections
/
BE-RBINS-ENT Collection Project MEMO Monitoring of Exotic Mosquitoes in Belgium
/
BE-RBINS-ENT Specimens
/
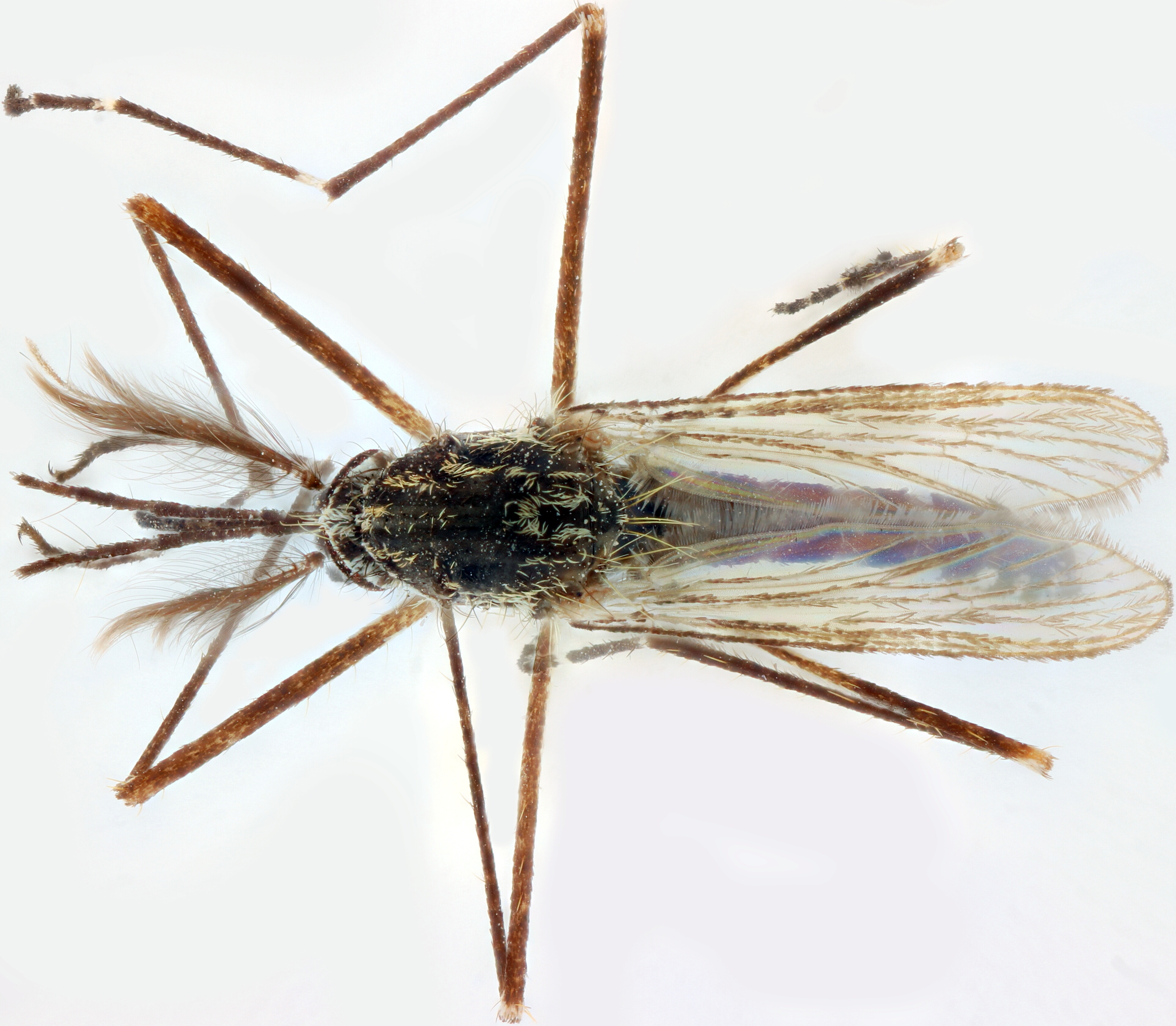
Aedes (Finlaya) koreicus (Edwards, 1917)
Info
Aedes (Finlaya) koreicus (Edwards, 1917)
BE-RBINS ENT Collection Project MEMO Monitoring of Exotic Mosquitoes in Belgium ; Project NEHAP ; Male adult ; Unique MEMO code: M18G0037 (2)
BE-RBINS-ENT Aedes (Finlaya) koreicus M18G0037 (2) Inventory
BE-RBINS-ENT Aedes (Finlaya) koreicus M18G0037 (2) D.jpg
Full-size image:
3.03 MB
|
View
Download
BE-RBINS-ENT Aedes (Finlaya) koreicus M18G0037 (2) F.jpg
Full-size image:
2.99 MB
|
View
Download
BE-RBINS-ENT Aedes (Finlaya) koreicus M18G0037 (2) Create this specimen in DarWIN
Create this specimen in DarWIN
BE-RBINS-ENT Aedes (Finlaya) koreicus M18G0037 (2) Data
Please create this specimen in DarWIN
Related content
Folder : 1
Chrysomelidae
Filed under:
Specimen
Home of the collection
Search Specimens
Inventory